Breaking News

Filippinni urgan kuchli to'fon

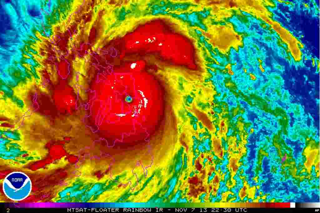
Filippin kechagi to’fondan o’ziga kelishga urinmoqda. 100 dan ochiq odam o’lgan, mamlakatning katta qismi vayron bo’lgan. Halok bo’lganlar soni oshishi kutilmoqda, chunki qidiruv ishlari qizg’in pallaga kirgan. Qulagan imorat va inshootlar ostidan jasadlar chiqishi tabiiy, deydi Filippin rasmiylari.

Ko'proq...

XS
SM
MD
LG